Notice is hereby given pursuant to sections 466 of the Local Government Act that a public hearing will be held for proposed Zoning Amendment Bylaw No. 2056.02 on May 6, 2026 at 5pm at Council Chambers, located at 1801B Beaufort Avenue, Comox BC. Attendees will be afforded a reasonable opportunity to be heard before Town Council or to present written submissions.
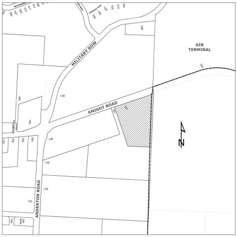
Location: 1301 Knight Road
File No.: APPN-2026-0007

The applicant is proposing to amend the zoning of the subject property from E-3 Light Industrial to a new Comprehensive Development (CD) zone, to facilitate a new gravel, compost and soils business (relocated from across Knight Road at 1200 Military Row).
A copy of the proposed bylaw is available online at comox.ca/planningapplications and may be inspected in-person from April 24, 2026, to May 6, 2026, 8:30am to 4:30pm, Monday through Friday (excluding statutory holidays) at Comox Town Hall, located at 1809 Beaufort Avenue, Comox BC.
All written submissions submitted in advance of the Public Hearing must be addressed to Council and must either be emailed to council@comox.ca, mailed, or dropped off at Town Hall and must be received no later than 12:00 pm on May 6, 2026. After this time, written submissions must be presented in-person at the Public Hearing. No letter, report, or representation will be considered by Council after the conclusion of the Public Hearing. Emails sent to other Town of Comox email addresses will not be included as correspondence.
Please note that all correspondence submitted to the Town of Comox in response to this Notice must include your name and address (street name at minimum) and will form part of the public record. The Town considers the author’s name and address relevant to Council’s consideration of this matter and will disclose this personal information to Council and the public. If your name and address are not provided, then your correspondence will not be included.
Personal information is collected in accordance with Section 26 (c) of the Freedom of Information and Protection of Privacy Act. Enquiries about the collection of personal information can be directed to town@comox.ca.
Public Notice for 1301 Knight Road - Public Hearing